9月17日白崎ツアー☆
未選択
平日の白崎ツアーです☆
人も少なくのんびり過ごせました!
今日は、オープンウォーターダイバースクールの講習の皆さんと
ファンダイビングの皆さんとに分かれてエントリーしてきました!
講習チームの皆さんは
プールや1日目の海洋実習で練習したスキルを
体で覚えるように、繰り返し練習してきました!
少しずつ、しっかりと覚えて行きましょう☆
少し、水面は波がありましたが
皆さん一緒に頑張ってきました!
そして、ファンダイビングチームは
Nさんと私の二人でエントリーしてきました☆
カメラを持って二人で激写してきました(0^^0)
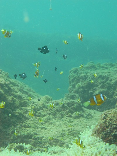
今日もたくさんの魚たちにあってきましたよ!
ヒョウモンダコ←この子は講習1日目のTさんが発見!
目の前に現れました(^^;
セミホウボウ、アジアコショウダイ(yg)、フウライチョウチョウウオ(yg)
コブダイ(yg)、ミナミハコフグ(yg)、キヘリモンガラ(yg)
アオリイカ、イソギンチャクエビ、噂のウミテング☆
そして、先日から現れているネジリンボウ♪♪
そしてそして、2本目のエキジット直前にはソウシハギとご対面♪
恥ずかしがって!?カメラを向けると横を向いてしまいます、、、
1枚だけNさんとの2ショット写真となりました(^0^)


新しい生物との出会いも多くて、生物満載の白崎でした!
白崎のシャクシの浜は10月いっぱいでクローズしてしまいますので
気になる!という皆さんは、お見逃しなく!
水温27~28度 透明度8~10m
staff shibatti
関西でダイビングを始めるなら、トライブダイビングスクールへ
FACEBOOKページも開設しました!ぜひ、「いいね」 してくださいね!
人も少なくのんびり過ごせました!
今日は、オープンウォーターダイバースクールの講習の皆さんと
ファンダイビングの皆さんとに分かれてエントリーしてきました!
講習チームの皆さんは
プールや1日目の海洋実習で練習したスキルを
体で覚えるように、繰り返し練習してきました!
少しずつ、しっかりと覚えて行きましょう☆
少し、水面は波がありましたが
皆さん一緒に頑張ってきました!
そして、ファンダイビングチームは
Nさんと私の二人でエントリーしてきました☆
カメラを持って二人で激写してきました(0^^0)
今日もたくさんの魚たちにあってきましたよ!
ヒョウモンダコ←この子は講習1日目のTさんが発見!
目の前に現れました(^^;
セミホウボウ、アジアコショウダイ(yg)、フウライチョウチョウウオ(yg)
コブダイ(yg)、ミナミハコフグ(yg)、キヘリモンガラ(yg)
アオリイカ、イソギンチャクエビ、噂のウミテング☆
そして、先日から現れているネジリンボウ♪♪
そしてそして、2本目のエキジット直前にはソウシハギとご対面♪
恥ずかしがって!?カメラを向けると横を向いてしまいます、、、
1枚だけNさんとの2ショット写真となりました(^0^)
新しい生物との出会いも多くて、生物満載の白崎でした!
白崎のシャクシの浜は10月いっぱいでクローズしてしまいますので
気になる!という皆さんは、お見逃しなく!
水温27~28度 透明度8~10m
staff shibatti
関西でダイビングを始めるなら、トライブダイビングスクールへ
FACEBOOKページも開設しました!ぜひ、「いいね」 してくださいね!
PR
Comment form