7/5(土)白浜ツアー☆
未選択
白浜へ行ってまいりました!
今回は、ナビゲーションチームと、お試しダイビングチーム、
カメラ&中性浮力練習チームに分かれてエントリーしてきました☆
ナビゲーションチームは
午前中はコンパスの使い方を練習して、昼からは実際に自分で計画を立てて
水中マップを見ながら戻ってくる練習をしてきました!
白浜のビーチにいるドラえもんを見て帰ってくる!計画だったようですが
今回は残念ながらドラえもんには会えなかったようです(><)
でも!無事にバディで潜ってきました(^∀^)/
また、ドラえもん探しに挑戦しに行きましょう!!
そして、お試しダイビングチームは
ダイビングに必要な簡単なスキルを練習してから
お魚を見に泳いできました(0^^0)
ダイビングってどんな感じなの??
和歌山の海の中ってどんなお魚に会えるの??
と疑問や不安を持っていらっしゃる方も多いかと思いますが
近くの海で、浅いところでもお魚はたくさんいて楽しめます!
今回お試しされた皆さんも
海のほんの一部のご紹介でしたが楽しんで頂けたようで良かったです(^∀^)
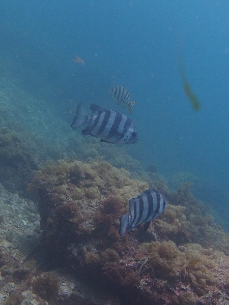
そして、カメラ&中性浮力練習チームは
Nおちゃんが新しいカメラで水中写真に挑戦♪
今回はNおちゃんの写真でお魚のご紹介です!

アップでキレイに撮れました!卵も産んでいましたよ♪
小さなこの子も上手に撮れていましたね!
移動中のウツボもバッチリです☆
ミノカサゴも小さくてかわいかったですね♪
砂地にはハゼもたくさん顔を出しています!
これからもたくさん写真を撮ってカワイイ子を激写してくださいね(^0^)
水温も上がってウェットスーツで快適でした~♪
次回も皆さん楽しみにしています!
スタッフ 筒井恵美
関西でダイビングを始めるなら、トライブダイビングスクールへ
FACEBOOKページも開設しました!ぜひ、「いいね」 してくださいね!
今回は、ナビゲーションチームと、お試しダイビングチーム、
カメラ&中性浮力練習チームに分かれてエントリーしてきました☆
ナビゲーションチームは
午前中はコンパスの使い方を練習して、昼からは実際に自分で計画を立てて
水中マップを見ながら戻ってくる練習をしてきました!
白浜のビーチにいるドラえもんを見て帰ってくる!計画だったようですが
今回は残念ながらドラえもんには会えなかったようです(><)
でも!無事にバディで潜ってきました(^∀^)/
また、ドラえもん探しに挑戦しに行きましょう!!
そして、お試しダイビングチームは
ダイビングに必要な簡単なスキルを練習してから
お魚を見に泳いできました(0^^0)
ダイビングってどんな感じなの??
和歌山の海の中ってどんなお魚に会えるの??
と疑問や不安を持っていらっしゃる方も多いかと思いますが
近くの海で、浅いところでもお魚はたくさんいて楽しめます!
今回お試しされた皆さんも
海のほんの一部のご紹介でしたが楽しんで頂けたようで良かったです(^∀^)
そして、カメラ&中性浮力練習チームは
Nおちゃんが新しいカメラで水中写真に挑戦♪
今回はNおちゃんの写真でお魚のご紹介です!
アップでキレイに撮れました!卵も産んでいましたよ♪
小さなこの子も上手に撮れていましたね!
移動中のウツボもバッチリです☆
ミノカサゴも小さくてかわいかったですね♪
砂地にはハゼもたくさん顔を出しています!
これからもたくさん写真を撮ってカワイイ子を激写してくださいね(^0^)
水温も上がってウェットスーツで快適でした~♪
次回も皆さん楽しみにしています!
スタッフ 筒井恵美
関西でダイビングを始めるなら、トライブダイビングスクールへ
FACEBOOKページも開設しました!ぜひ、「いいね」 してくださいね!
PR
7/2白崎ツアー♪
未選択
7月最初のツアーは白崎へ行ってきました♪
お天気も良く!気温も高く!
ウェットスーツ&フードベストで快適に潜れましたよ(0^^0)
今日はお試しダイビングにご参加頂く3名☆
フィッシュウォッチングしながらまったり泳ごう!の2名
に分かれて遊んできました!
お試しダイビングでは
レギュレータでの呼吸の仕方を練習したり
ダイビングに必要なスキルを簡単に練習してから
お魚を見に泳いできました(^∀^)
今回はお試しダイビングですので
浅い水深で楽しんで頂きましたが
透明度も良く♪お魚もとっても多かったですね♪
小さなクマノミやミツボシクロスズメダイも
しっかり見ていただけました!
どんどん成長していく姿をこれから観察できます!
成長が楽しみです☆
そして、まったり泳ごうチームも
中性浮力に注意しながらたくさん泳いでお魚を見てきました!
浅いところでイシダイがたくさん泳いでいましたね!
岩を見てみると、、、小さなギンポがかわいい顔を見せてくれます♪
砂地ではダテハゼがたくさん顔を出していました(^^)
ゆっくり観察すると共生エビの仕事ぶりも見れちゃいます!
岩や海藻の陰を覗くと小さなこんな子も☆
恥ずかしがりやですが、キレイな目をしています(*^^*)
大きなタコやイカとも遭遇☆
中層にはたくさんの魚の群れ群れ群れ!!
海の中が賑やかになってきました!
みんなでたくさん遊びに行きましょう(^0^)/
まったり泳ごうチームのS路さん☆
ビーチダイビングにはだいぶ慣れてきた様子♪
余裕も出てきて、今までよりもさらに楽しくなってきたと言って頂きました!
これから上手くなればなるだけ楽しみは大きくなっていきます(^∀^)
この夏はボートダイビングにも挑戦☆楽しみですね!
まだツアーにエントリーしていないって方は
ぜひぜひお早めにご連絡お願いします!
スタッフ 筒井恵美
関西でダイビングを始めるなら、トライブダイビングスクールへ
FACEBOOKページも開設しました!ぜひ、「いいね」 してくださいね!
お天気も良く!気温も高く!
ウェットスーツ&フードベストで快適に潜れましたよ(0^^0)
今日はお試しダイビングにご参加頂く3名☆
フィッシュウォッチングしながらまったり泳ごう!の2名
に分かれて遊んできました!
お試しダイビングでは
レギュレータでの呼吸の仕方を練習したり
ダイビングに必要なスキルを簡単に練習してから
お魚を見に泳いできました(^∀^)
今回はお試しダイビングですので
浅い水深で楽しんで頂きましたが
透明度も良く♪お魚もとっても多かったですね♪
小さなクマノミやミツボシクロスズメダイも
しっかり見ていただけました!
どんどん成長していく姿をこれから観察できます!
成長が楽しみです☆
そして、まったり泳ごうチームも
中性浮力に注意しながらたくさん泳いでお魚を見てきました!
浅いところでイシダイがたくさん泳いでいましたね!
岩を見てみると、、、小さなギンポがかわいい顔を見せてくれます♪
砂地ではダテハゼがたくさん顔を出していました(^^)
ゆっくり観察すると共生エビの仕事ぶりも見れちゃいます!
岩や海藻の陰を覗くと小さなこんな子も☆
恥ずかしがりやですが、キレイな目をしています(*^^*)
大きなタコやイカとも遭遇☆
中層にはたくさんの魚の群れ群れ群れ!!
海の中が賑やかになってきました!
みんなでたくさん遊びに行きましょう(^0^)/
まったり泳ごうチームのS路さん☆
ビーチダイビングにはだいぶ慣れてきた様子♪
余裕も出てきて、今までよりもさらに楽しくなってきたと言って頂きました!
これから上手くなればなるだけ楽しみは大きくなっていきます(^∀^)
この夏はボートダイビングにも挑戦☆楽しみですね!
まだツアーにエントリーしていないって方は
ぜひぜひお早めにご連絡お願いします!
スタッフ 筒井恵美
関西でダイビングを始めるなら、トライブダイビングスクールへ
FACEBOOKページも開設しました!ぜひ、「いいね」 してくださいね!
西表島へ向けて
未選択本日から沖縄・西表島ツアーへ出発!
いってらっしゃい。
staff 筒井英史
関西でダイビングを始めるなら、トライブダイビングスクールへ
FACEBOOKページも開設しました!ぜひ、「いいね」 してくださいね!
6月28日(土)白浜ツアーのご報告☆
未選択
今日は残念ながら雨かぁ・・・
と思っていたら、、、
何とこの快晴!!!
絶好のダイビング日和となりました♪
ボートチームは『トリプルアーチ』と『沈船』へ☆
初ボートのSうらくんとCゃもさんも一緒にいってきましたよ~(^^)


お魚も多くってとっても楽しかったようです♪
そしてビーチチームはもりだくさん!!!
アップデート&入門コース&お試しダイビング!!!!
アップデートチームは
『ドキドキするなぁ・・・』と言ってましたが
全く問題なし!!!!
素晴らしいですね(o^^o)
そして入門コースチームも負けじと
いっぱい練習してきました!!
最初は耳抜きやふわふわ感に戸惑い気味でしたが
色んなお魚を見ながら楽しんで練習できたようです♪
これからもゆっくり楽しんでいきましょうね☆
そしてお試しダイビングチームも
浅瀬で練習したり、、、海の中を泳いでみたり。。。
ダイビングの世界を少し体感して頂きました(^^)
これをきっかけに色んな海に興味を持って頂けたら
嬉しいですね~~~♪♪
さて明日は田辺でダイビングです☆
どんな海が待っているのでしょうか!!
また報告お楽しみに~~♪
staff hirorin
関西でダイビングを始めるなら、トライブダイビングスクールへ
FACEBOOKページも開設しました!ぜひ、「いいね」 してくださいね!
と思っていたら、、、
何とこの快晴!!!
絶好のダイビング日和となりました♪
ボートチームは『トリプルアーチ』と『沈船』へ☆
初ボートのSうらくんとCゃもさんも一緒にいってきましたよ~(^^)
お魚も多くってとっても楽しかったようです♪
そしてビーチチームはもりだくさん!!!
アップデート&入門コース&お試しダイビング!!!!
アップデートチームは
『ドキドキするなぁ・・・』と言ってましたが
全く問題なし!!!!
素晴らしいですね(o^^o)
そして入門コースチームも負けじと
いっぱい練習してきました!!
最初は耳抜きやふわふわ感に戸惑い気味でしたが
色んなお魚を見ながら楽しんで練習できたようです♪
これからもゆっくり楽しんでいきましょうね☆
そしてお試しダイビングチームも
浅瀬で練習したり、、、海の中を泳いでみたり。。。
ダイビングの世界を少し体感して頂きました(^^)
これをきっかけに色んな海に興味を持って頂けたら
嬉しいですね~~~♪♪
さて明日は田辺でダイビングです☆
どんな海が待っているのでしょうか!!
また報告お楽しみに~~♪
staff hirorin
関西でダイビングを始めるなら、トライブダイビングスクールへ
FACEBOOKページも開設しました!ぜひ、「いいね」 してくださいね!
6/24(火)〜25(水)平日白浜ナイトツアーのご報告☆
未選択
今年もいってきました〜♪
白浜ナイトツアー!!!!
少し薄暗くなってきたところで・・・
ナイトダイビングスタートです☆
昼間の明るい海とは違って。。。
少しずつ暗くなってくると
夜行性の生き物たちが動き出します(^^)
エビやカニたちは岩の上に出てきたり
体色を変える生き物たちも!!
ほかにも夜にしかみない魚も♪♪
そして休憩中に見た白浜の夜景☆
とってもきれかったですよ~~♪
夜の海を満喫したあとは。。。
ごはんも大満喫(O^^O)
おいしかったですね〜〜☆
そして、、、
次の日は2ボートダイビング!!!
『三段壁』と『靴島』へ♪
どちらもとってもお魚が多くて
とっても楽しかったですね(^▽^)♪
どんな魚がいたかというと。。。
イサキの大群
キンギョハナダイの群れ
マツバギンポ
色鮮やかなレンテンヤッコなどなど
どこを見てもお魚だらけでした☆
今回素敵な写真を提供してくださった
Aさちゃん!Tみー!ありがとうございます☆
また次回も宜しくお願いいたしまーす!!
今回もとっても楽しかったですね!!
ご参加くださった皆さん!ありがとうございました!!
またいろんなダイビングに挑戦していきましょう(^^)
staff hirorin
関西でダイビングを始めるなら、トライブダイビングスクールへ
FACEBOOKページも開設しました!ぜひ、「いいね」 してくださいね!
白浜ナイトツアー!!!!
少し薄暗くなってきたところで・・・
ナイトダイビングスタートです☆
昼間の明るい海とは違って。。。
少しずつ暗くなってくると
夜行性の生き物たちが動き出します(^^)
エビやカニたちは岩の上に出てきたり
体色を変える生き物たちも!!
ほかにも夜にしかみない魚も♪♪
そして休憩中に見た白浜の夜景☆
とってもきれかったですよ~~♪
夜の海を満喫したあとは。。。
ごはんも大満喫(O^^O)
おいしかったですね〜〜☆
そして、、、
次の日は2ボートダイビング!!!
『三段壁』と『靴島』へ♪
どちらもとってもお魚が多くて
とっても楽しかったですね(^▽^)♪
どんな魚がいたかというと。。。
イサキの大群
キンギョハナダイの群れ
マツバギンポ
色鮮やかなレンテンヤッコなどなど
どこを見てもお魚だらけでした☆
今回素敵な写真を提供してくださった
Aさちゃん!Tみー!ありがとうございます☆
また次回も宜しくお願いいたしまーす!!
今回もとっても楽しかったですね!!
ご参加くださった皆さん!ありがとうございました!!
またいろんなダイビングに挑戦していきましょう(^^)
staff hirorin
関西でダイビングを始めるなら、トライブダイビングスクールへ
FACEBOOKページも開設しました!ぜひ、「いいね」 してくださいね!
6/23白崎ツアー☆
未選択
平日メンバーで白崎へ行ってきました!
入門コースとアップデートチーム
中性浮力チームに分かれてエントリーしてきました☆
入門コースのWなべさんとアップデートのSさんは
ダイビングに必要なスキルをしっかり練習&復習してきました!
少し風波がありましたが頑張ってきました(^∀^)
そして、中性浮力の練習はKちゃん☆
なかなか同じ水深をキープするのは難しいですが、、、
今回の講習でコツは掴めたのではないでしょうか(^0^)
水深の変化に対応して自由に泳げるように
これからも一緒にたくさん遊びに行きましょう♪
雨の後だったので透明度はどうかなぁ。。。と思っていましたが
透明度15mほどととってもキレイな海で楽しかったですね(0^^0)
今日もたくさんのお魚に会えましたよ!
水色がとってもキレイで優雅なハナハゼ☆
とっても小さくてキュートなこんな子にも遭遇♪
マダコも岩陰に潜んでいたり。。。
ニジギンポもチラッと顔を出していました!
今、子供達が大量に☆
イシダイの子供達も近くで泳いでくれました!
マツバスズメダイの群れは圧巻!
そして、今の時期口内飼育もしっかり観察できちゃいます♪
また、これから魚の子供達がどんどん増えてきます!
次回も楽しみですね~(^∀^)
色んなダイビングに挑戦して、楽しみに幅を一緒に増やしていきましょう♪
今回の素敵なお写真はSのさんより頂きました☆
ありがとうございました~(^^)
スタッフ 筒井恵美
関西でダイビングを始めるなら、トライブダイビングスクールへ
FACEBOOKページも開設しました!ぜひ、「いいね」 してくださいね!
入門コースとアップデートチーム
中性浮力チームに分かれてエントリーしてきました☆
入門コースのWなべさんとアップデートのSさんは
ダイビングに必要なスキルをしっかり練習&復習してきました!
少し風波がありましたが頑張ってきました(^∀^)
そして、中性浮力の練習はKちゃん☆
なかなか同じ水深をキープするのは難しいですが、、、
今回の講習でコツは掴めたのではないでしょうか(^0^)
水深の変化に対応して自由に泳げるように
これからも一緒にたくさん遊びに行きましょう♪
雨の後だったので透明度はどうかなぁ。。。と思っていましたが
透明度15mほどととってもキレイな海で楽しかったですね(0^^0)
今日もたくさんのお魚に会えましたよ!
水色がとってもキレイで優雅なハナハゼ☆
とっても小さくてキュートなこんな子にも遭遇♪
マダコも岩陰に潜んでいたり。。。
ニジギンポもチラッと顔を出していました!
今、子供達が大量に☆
イシダイの子供達も近くで泳いでくれました!
マツバスズメダイの群れは圧巻!
そして、今の時期口内飼育もしっかり観察できちゃいます♪
また、これから魚の子供達がどんどん増えてきます!
次回も楽しみですね~(^∀^)
色んなダイビングに挑戦して、楽しみに幅を一緒に増やしていきましょう♪
今回の素敵なお写真はSのさんより頂きました☆
ありがとうございました~(^^)
スタッフ 筒井恵美
関西でダイビングを始めるなら、トライブダイビングスクールへ
FACEBOOKページも開設しました!ぜひ、「いいね」 してくださいね!
6月21日(土)白崎ツアーのご報告☆
未選択
最近どんどん暑くなってきていますね~(^^;
今日も汗だくになりながら。。。
白崎に行ってきました~~♪♪
今日はプールで練習チームと
海でアップデート&入門コースチームに
分かれていってきました!!
プールチームはスキルを完成させるべく。。。
たくさん練習してきたようです!!
改めてやってみると色んな発見があって
おもしろいですよね!!
この調子でどんどんかっこいいダイバーに
なっちゃいましょう!!!!
そして海でアップデート&入門コースチームは
『シャクシの浜』にエントリー!!
大事な大事なスキルを練習してきました☆
アップデートのSがっちはさすが先輩ダイバー!!
とってもスムーズに復習完了しました☆
大事なスキルもしっかり思い出したし。。
これで今年もたくさん遊べますね~~♪♪
そして本日2回目の海ダイビングのMえちゃんも
とっても落ち着いてスキルが出来るようになってきましたね(^^)
この調子でどこでも思いっきり楽しめるダイバーになりましょうね♪
練習の後は。。
色んなお魚見て泳いできました!!
たくさん群れているお魚たち。そして全身出てる!!ちびっこウツボ☆
そして何かを真剣に見ている2人(^^)
今日もとっても楽しい1日でしたね♪
さて明日は白浜ダイビングです(^▽^)
どんな出会いが待っているのか。。。
楽しみですね~~♪
staff hirorin
関西でダイビングを始めるなら、トライブダイビングスクールへ
FACEBOOKページも開設しました!ぜひ、「いいね」 してくださいね!
今日も汗だくになりながら。。。
白崎に行ってきました~~♪♪
今日はプールで練習チームと
海でアップデート&入門コースチームに
分かれていってきました!!
プールチームはスキルを完成させるべく。。。
たくさん練習してきたようです!!
改めてやってみると色んな発見があって
おもしろいですよね!!
この調子でどんどんかっこいいダイバーに
なっちゃいましょう!!!!
そして海でアップデート&入門コースチームは
『シャクシの浜』にエントリー!!
大事な大事なスキルを練習してきました☆
アップデートのSがっちはさすが先輩ダイバー!!
とってもスムーズに復習完了しました☆
大事なスキルもしっかり思い出したし。。
これで今年もたくさん遊べますね~~♪♪
そして本日2回目の海ダイビングのMえちゃんも
とっても落ち着いてスキルが出来るようになってきましたね(^^)
この調子でどこでも思いっきり楽しめるダイバーになりましょうね♪
練習の後は。。
色んなお魚見て泳いできました!!
たくさん群れているお魚たち。そして全身出てる!!ちびっこウツボ☆
そして何かを真剣に見ている2人(^^)
今日もとっても楽しい1日でしたね♪
さて明日は白浜ダイビングです(^▽^)
どんな出会いが待っているのか。。。
楽しみですね~~♪
staff hirorin
関西でダイビングを始めるなら、トライブダイビングスクールへ
FACEBOOKページも開設しました!ぜひ、「いいね」 してくださいね!
6/11(水)白崎ツアー♪
未選択
平日の白崎へ遊びに行って来ました~!
今日は1チームでゆっくり写真を撮りながら潜ってきましたよ☆
お天気は雨模様でしたが、、、
お魚はたくさん見れて楽しかったです(0^^0)
7月に西表島ツアーへご参加頂くS国さんは
しっかり中性浮力を意識しながらお魚を観察してきました!
海藻の周りを良く見ると、、、
こんな小さなかわいい子が!
いつものカサゴも海藻の上でまったり☆
砂地をうろうろすると、、、
この子達も海藻の陰でお話中!?
穴の中を覗くとタコが!
小さなイカとも遭遇♪
おちょぼ口のこの子もまったり泳いでいました!
岩の上にチョコンとこんな子も♪
口内飼育中のお父さん☆
子供達が孵化するまで頑張って!
まだまだ他にもたくさんの魚達と出会えました~(^∀^)
群れもたくさんで見どころ満載でした!
次回も楽しみです☆
今回はSのさんよりステキなお写真を頂きました!
ありがとうございました~(0^^0)
スタッフ 筒井恵美☆
関西でダイビングを始めるなら、トライブダイビングスクールへ
FACEBOOKページも開設しました!ぜひ、「いいね」 してくださいね!
今日は1チームでゆっくり写真を撮りながら潜ってきましたよ☆
お天気は雨模様でしたが、、、
お魚はたくさん見れて楽しかったです(0^^0)
7月に西表島ツアーへご参加頂くS国さんは
しっかり中性浮力を意識しながらお魚を観察してきました!
海藻の周りを良く見ると、、、
こんな小さなかわいい子が!
いつものカサゴも海藻の上でまったり☆
砂地をうろうろすると、、、
この子達も海藻の陰でお話中!?
穴の中を覗くとタコが!
小さなイカとも遭遇♪
おちょぼ口のこの子もまったり泳いでいました!
岩の上にチョコンとこんな子も♪
口内飼育中のお父さん☆
子供達が孵化するまで頑張って!
まだまだ他にもたくさんの魚達と出会えました~(^∀^)
群れもたくさんで見どころ満載でした!
次回も楽しみです☆
今回はSのさんよりステキなお写真を頂きました!
ありがとうございました~(0^^0)
スタッフ 筒井恵美☆
関西でダイビングを始めるなら、トライブダイビングスクールへ
FACEBOOKページも開設しました!ぜひ、「いいね」 してくださいね!
6月8日(日)白浜ツアーのご報告☆
未選択今日も真夏のような白浜へ行ってきました!!
風も無かったので海も穏やか(^^)
最高のダイビング日和でした!!!
そんな白浜をボートチームと入門コースチーム
そしてお試しダイビングチームで満喫してきました☆
ボートチームは『下サイ沖』と『沈船』にエントリー!!
どちらもお魚いっぱいで楽しかったですね~♪
とってもかわいいハリセンボンや
岩の隙間にぎっしり・・・イセエビ!
沈船を覆い隠すかのようなキンメモドキの群れ!!!
他にもタカベの大群や、クマノミ、でっかいコロダイなどなど
たくさんの生き物がいました(^▽^)
今回のステキなお写真はSえながさんが撮ってくださいました!!
ありがとうございます☆☆
またステキなお写真よろしくお願いしますね~~~♪♪
そして入門コースチームは、基本スキルの仕上げ!!
今までしっかり練習してきた成果がしっかり出せたようです!
そしてもちろん結果は・・・合格☆☆☆
Kょうちゃん、おめでとうございまーす(^O^)
これからいっぱい一緒に遊びましょうね~~♪
そしてそして!!
お試しダイビングチームは初めての海の中を楽しんできました!!
泳ぎだすと色んな魚を見つけたり。。
ナマコなどにも興味津々(^^)
もっと色んな所で潜れるようになると
色んな生き物に出会えますよ♪
ぜひまたダイビングに挑戦してくださいね~☆
staff hirorin
関西でダイビングを始めるなら、トライブダイビングスクールへ
FACEBOOKページも開設しました!ぜひ、「いいね」 してくださいね!
6月7日(土)白崎ツアーのご報告☆
未選択
今年も5月にオープンした白崎『シャクシの浜』に
今日も行ってきました~~~~♪♪♪
今日はアップデートチームと
のんびり泳ぐぞチームに分かれてエントリー☆
アップデートチームは大事な大事なスキルの練習から
スタート!!!!!
普段は改めてすることの無い練習ですが、とっても大切な事ばかり。
しっかり復習して覚えておくことが大切ですね(^^)
最初はドキドキするな~なんて言っていましたが、
皆さんバッチリ!!合格☆☆
2本目はのんびり泳いできましたよ♪
そしてのんびり泳ぐぞチームは中性浮力を意識しながら
お魚探しへ!!!!
どんなお魚がいたかというと。。。
かわいいミツボシクロスズメダイ(Yすみん作)や
実は目がおっきくてかわいいカサゴ(Yすみん作)
砂地にはコウイカ(Fっさん作)がいたり
まさかのカサゴとアオウミウシのコラボ(Fっさん作)
などなど色んな生き物がいました♪♪
今回写真を提供してくださったYすみん♪Fっさん♪
ありがとうございました~~(^▽^)
また次回も素敵なお写真よろしくお願い致します!!
staff hirorin
関西でダイビングを始めるなら、トライブダイビングスクールへ
FACEBOOKページも開設しました!ぜひ、「いいね」 してくださいね!
今日も行ってきました~~~~♪♪♪
今日はアップデートチームと
のんびり泳ぐぞチームに分かれてエントリー☆
アップデートチームは大事な大事なスキルの練習から
スタート!!!!!
普段は改めてすることの無い練習ですが、とっても大切な事ばかり。
しっかり復習して覚えておくことが大切ですね(^^)
最初はドキドキするな~なんて言っていましたが、
皆さんバッチリ!!合格☆☆
2本目はのんびり泳いできましたよ♪
そしてのんびり泳ぐぞチームは中性浮力を意識しながら
お魚探しへ!!!!
どんなお魚がいたかというと。。。
かわいいミツボシクロスズメダイ(Yすみん作)や
実は目がおっきくてかわいいカサゴ(Yすみん作)
砂地にはコウイカ(Fっさん作)がいたり
まさかのカサゴとアオウミウシのコラボ(Fっさん作)
などなど色んな生き物がいました♪♪
今回写真を提供してくださったYすみん♪Fっさん♪
ありがとうございました~~(^▽^)
また次回も素敵なお写真よろしくお願い致します!!
staff hirorin
関西でダイビングを始めるなら、トライブダイビングスクールへ
FACEBOOKページも開設しました!ぜひ、「いいね」 してくださいね!