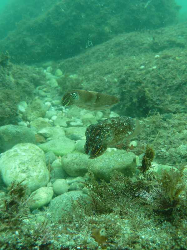
田辺ツアー☆
未選択
今日もお天気良かったですね~(^^)
暑かったです・・・
そんな中、とっても快適な海の中へ♪♪
今日は田辺の海に遊びに行ってきましたよ(^▽^)
1本目は『ショウガセ』、2本目は『南部だし』に
いってきました~~☆
海の中には色んな生き物が待っていましたよ~♪
まずはたくさんの群れ!!!イサキ、マアジ、
キンメモドキ、ハタンポなどなど!
他にもソラスズメダイやキンギョハナダイも
キレイでした~☆
岩場には、マツバギンポがひょこっと顔をして
いたり、ヒョウモンウミウシ、タテヒダイボウミウシ
などもいました!!
かわいい生き物にいっぱい出会ったものの。。。
写真を撮るのをすっかり忘れておりました(^^;
すいません。。
次回はいっぱい撮ってきます(><)
~おまけ~
写真を撮るのを忘れてたことに気付いて。。。

途中で発見したスイカサイダー撮ってみました(--;
なかなか美味しかったですよ♪
今日の透明度8~10m 水温27℃
staff hirorin
関西でダイビングを始めるなら、トライブダイビングスクールへ
FACEBOOKページも開設しました!ぜひ、「いいね」 してくださいね!
暑かったです・・・
そんな中、とっても快適な海の中へ♪♪
今日は田辺の海に遊びに行ってきましたよ(^▽^)
1本目は『ショウガセ』、2本目は『南部だし』に
いってきました~~☆
海の中には色んな生き物が待っていましたよ~♪
まずはたくさんの群れ!!!イサキ、マアジ、
キンメモドキ、ハタンポなどなど!
他にもソラスズメダイやキンギョハナダイも
キレイでした~☆
岩場には、マツバギンポがひょこっと顔をして
いたり、ヒョウモンウミウシ、タテヒダイボウミウシ
などもいました!!
かわいい生き物にいっぱい出会ったものの。。。
写真を撮るのをすっかり忘れておりました(^^;
すいません。。
次回はいっぱい撮ってきます(><)
~おまけ~
写真を撮るのを忘れてたことに気付いて。。。
途中で発見したスイカサイダー撮ってみました(--;
なかなか美味しかったですよ♪
今日の透明度8~10m 水温27℃
staff hirorin
関西でダイビングを始めるなら、トライブダイビングスクールへ
FACEBOOKページも開設しました!ぜひ、「いいね」 してくださいね!
PR
またまた今日も!!
未選択
プールの日でした☆
〈私はお店でお留守番でしたが。。(^^;〉
先日学科を受けてばりばり
質問に答えていたIさん♪
プールでもばりばり練習してきたようです(^^)
次回の海洋実習も楽しみですね~~!!

こんな海が待っていますよ~~☆
staff hirorin
関西でダイビングを始めるなら、トライブダイビングスクールへ
FACEBOOKページも開設しました!ぜひ、「いいね」 してくださいね!
〈私はお店でお留守番でしたが。。(^^;〉
先日学科を受けてばりばり
質問に答えていたIさん♪
プールでもばりばり練習してきたようです(^^)
次回の海洋実習も楽しみですね~~!!
こんな海が待っていますよ~~☆
staff hirorin
関西でダイビングを始めるなら、トライブダイビングスクールへ
FACEBOOKページも開設しました!ぜひ、「いいね」 してくださいね!
プール!!!
未選択
今日の午前中は!!
プールに行ってきましたよ~♪
入門コース中のYさんと
たくさんスキルの練習をしてきました(^^)
中性浮力のとり方では
なかなか苦戦していたYさん。。
たくさん潜ると潜るごとに
感覚が分かってきますから!!
一緒に楽しみながら練習して行きましょうね♪♪
次の海洋実習も楽しみにしていま~す(o^^o)
☆おまけ☆
先日の香住ツアーで発見した
謎の魚。。

アップにすると。。。

フグっぽい。。(?口?)
でもサイズはゴマ粒ほどで
ハッキリはわからず・・・(^^;
でもかわいかったので載せちゃいました(^^)
staff hirorin
関西でダイビングを始めるなら、トライブダイビングスクールへ
FACEBOOKページも開設しました!ぜひ、「いいね」 してくださいね!
プールに行ってきましたよ~♪
入門コース中のYさんと
たくさんスキルの練習をしてきました(^^)
中性浮力のとり方では
なかなか苦戦していたYさん。。
たくさん潜ると潜るごとに
感覚が分かってきますから!!
一緒に楽しみながら練習して行きましょうね♪♪
次の海洋実習も楽しみにしていま~す(o^^o)
☆おまけ☆
先日の香住ツアーで発見した
謎の魚。。
アップにすると。。。
フグっぽい。。(?口?)
でもサイズはゴマ粒ほどで
ハッキリはわからず・・・(^^;
でもかわいかったので載せちゃいました(^^)
staff hirorin
関西でダイビングを始めるなら、トライブダイビングスクールへ
FACEBOOKページも開設しました!ぜひ、「いいね」 してくださいね!
ツアーのお知らせ☆
未選択
今日、西宮店では昼からKちゃんのディープダイビングの講習でした!
深場でのダイビングについて勉強しましたよ。
そのKちゃんからツアーのリクエストを頂きました(^0^)
昨日もリクエストを頂いていますので、合わせてお知らせです!
9/8(木) 白崎・2ビーチダイブ
9/14(水) 田辺・2ボートダイブ
ご予定の合う皆さんのエントリーお待ちしています♪
そして、昨年大好評でした「ドルフィンスイム&徳島・牟岐ツアー」の
平日の開催が決定いたしました!!
日程は、10/18(火)ー19(水) ドルフィンスイム&牟岐2ボート

1日目はドルフィンスイムでイルカ達と楽しく遊んで
夜は食べきれない程の新鮮な海の幸を頂いて☆

2日目は徳島県の牟岐でのんびりダイビングの予定です!
牟岐のボートはエントリーポイントが穏やかなので
経験の浅い方も安心して潜って頂けますよ(0^^0)
スタッフまでご相談くださいね!

素敵な思い出☆一緒に作りに行きましょう♪
人数限定ツアーとなりますので、早めにご連絡お願いします!
こちらも皆さんのエントリー楽しみにお待ちしています(^0^)/
スタッフ 筒井恵美☆
関西でダイビングを始めるなら、トライブダイビングスクールへ
FACEBOOKページも開設しました!ぜひ、「いいね」 してくださいね!
深場でのダイビングについて勉強しましたよ。
そのKちゃんからツアーのリクエストを頂きました(^0^)
昨日もリクエストを頂いていますので、合わせてお知らせです!
9/8(木) 白崎・2ビーチダイブ
9/14(水) 田辺・2ボートダイブ
ご予定の合う皆さんのエントリーお待ちしています♪
そして、昨年大好評でした「ドルフィンスイム&徳島・牟岐ツアー」の
平日の開催が決定いたしました!!
日程は、10/18(火)ー19(水) ドルフィンスイム&牟岐2ボート
1日目はドルフィンスイムでイルカ達と楽しく遊んで
夜は食べきれない程の新鮮な海の幸を頂いて☆
2日目は徳島県の牟岐でのんびりダイビングの予定です!
牟岐のボートはエントリーポイントが穏やかなので
経験の浅い方も安心して潜って頂けますよ(0^^0)
スタッフまでご相談くださいね!
素敵な思い出☆一緒に作りに行きましょう♪
人数限定ツアーとなりますので、早めにご連絡お願いします!
こちらも皆さんのエントリー楽しみにお待ちしています(^0^)/
スタッフ 筒井恵美☆
関西でダイビングを始めるなら、トライブダイビングスクールへ
FACEBOOKページも開設しました!ぜひ、「いいね」 してくださいね!
今日は!
未選択
昼から入門コースの学科講習でした!
いろいろな質問にもバッチリ答えてもらえました。
最終確認問題を解いているWさん。

見事!合格でした!
次回のプール実習も楽しみにしてますね~!!
新たにダイバーデビューしようと今日も多くの方にご来店頂きありがとうございます。
入門コース用教材も本日、追加分が届きましたので、いつでも受付しております!!

明日も朝から入門コース中のHさんと一緒にプール実習です。
また本日のツアー報告もしますので、お楽しみに!!
スタッフ 筒井英史
関西でダイビングを始めるならトライブダイビングスクールへ!
関西でダイビングを始めるなら、トライブダイビングスクールへ
FACEBOOKページも開設しました!ぜひ、「いいね」 してくださいね!
いろいろな質問にもバッチリ答えてもらえました。
最終確認問題を解いているWさん。
見事!合格でした!
次回のプール実習も楽しみにしてますね~!!
新たにダイバーデビューしようと今日も多くの方にご来店頂きありがとうございます。
入門コース用教材も本日、追加分が届きましたので、いつでも受付しております!!
明日も朝から入門コース中のHさんと一緒にプール実習です。
また本日のツアー報告もしますので、お楽しみに!!
スタッフ 筒井英史
関西でダイビングを始めるならトライブダイビングスクールへ!
関西でダイビングを始めるなら、トライブダイビングスクールへ
FACEBOOKページも開設しました!ぜひ、「いいね」 してくださいね!
急遽!!香住ツアー開催☆
未選択
今日は台風の影響のため・・・
急遽場所変更して。。。

とっても穏やかな香住に行ってきましたよ~(o^^o)
海の中も太陽の光がさして

とってもキレイでした♪
そんな香住『佐津ビーチ』では
色んな生き物が私達を待っていました!!
マアジ、カンパチ、ホタテウミヘビ、カワハギの赤ちゃん
クダヤガラの赤ちゃん、オニオコゼ、ヨウジウオ、イシダイ
クサフグ、シロギスなどなど。


そして。。。
今日も見ちゃいました!!!

しろいタツノオトシゴ♪♪
かわいかったですよ~~(^▽^)
そして最後は水の中と。。。

帰ってから。。。

本日のお土産♪スイカを持って記念撮影(^^)
本日も皆さんご参加ありがとうございました(o^^o)
さて明日はHさんと入門コースのプール講習です☆
楽しみ♪楽しみ~~♪♪
Hさんも一緒にこんなかわいいコたちにあうために
練習頑張りましょう~ね~♪♪
今日の透明度 10m 水温25℃
staff hirorin
関西でダイビングを始めるなら、トライブダイビングスクールへ
FACEBOOKページも開設しました!ぜひ、「いいね」 してくださいね!
急遽場所変更して。。。
とっても穏やかな香住に行ってきましたよ~(o^^o)
海の中も太陽の光がさして
とってもキレイでした♪
そんな香住『佐津ビーチ』では
色んな生き物が私達を待っていました!!
マアジ、カンパチ、ホタテウミヘビ、カワハギの赤ちゃん
クダヤガラの赤ちゃん、オニオコゼ、ヨウジウオ、イシダイ
クサフグ、シロギスなどなど。
そして。。。
今日も見ちゃいました!!!
しろいタツノオトシゴ♪♪
かわいかったですよ~~(^▽^)
そして最後は水の中と。。。
帰ってから。。。
本日のお土産♪スイカを持って記念撮影(^^)
本日も皆さんご参加ありがとうございました(o^^o)
さて明日はHさんと入門コースのプール講習です☆
楽しみ♪楽しみ~~♪♪
Hさんも一緒にこんなかわいいコたちにあうために
練習頑張りましょう~ね~♪♪
今日の透明度 10m 水温25℃
staff hirorin
関西でダイビングを始めるなら、トライブダイビングスクールへ
FACEBOOKページも開設しました!ぜひ、「いいね」 してくださいね!
明日のツアーは!
未選択
明日もダイブツアーですよ~!!
和歌山・白崎の予定でしたが、台風9号の影響が和歌山全域に出ているので
急遽、行き先変更です。
穏やかな海の兵庫県・香住へ行ってきます。
最近の香住は、とてつもない数のアジの群れが迎えてくれたり
タツノオトシゴもちょこちょこ現れているので楽しみですね~!
ツアー報告もお楽しみに。
本日の宝塚店には、現在ダイバーデビュー準備途中のIさんが
お友達と一緒にご来店。お友達もダイバーデビューコースへエントリー!
これから一緒に楽しみましょう。
明日の宝塚店は、ツアーの為、夜19時頃からの営業となります!
ご迷惑をお掛けしますが、ご了承ください。
ツアー予約やお問合せは、西宮店へ!
もしくは、お電話かメールでお願いします。
西宮店 0798-67-3603 : メール dive@traib.net
宝塚店 0797-78-1580 : メール info@traib.net
スタッフ 筒井英史
関西でダイビングを始めるならトライブダイビングスクールへ!
関西でダイビングを始めるなら、トライブダイビングスクールへ
FACEBOOKページも開設しました!ぜひ、「いいね」 してくださいね!
和歌山・白崎の予定でしたが、台風9号の影響が和歌山全域に出ているので
急遽、行き先変更です。
穏やかな海の兵庫県・香住へ行ってきます。
最近の香住は、とてつもない数のアジの群れが迎えてくれたり
タツノオトシゴもちょこちょこ現れているので楽しみですね~!
ツアー報告もお楽しみに。
本日の宝塚店には、現在ダイバーデビュー準備途中のIさんが
お友達と一緒にご来店。お友達もダイバーデビューコースへエントリー!
これから一緒に楽しみましょう。
明日の宝塚店は、ツアーの為、夜19時頃からの営業となります!
ご迷惑をお掛けしますが、ご了承ください。
ツアー予約やお問合せは、西宮店へ!
もしくは、お電話かメールでお願いします。
西宮店 0798-67-3603 : メール dive@traib.net
宝塚店 0797-78-1580 : メール info@traib.net
スタッフ 筒井英史
関西でダイビングを始めるならトライブダイビングスクールへ!
関西でダイビングを始めるなら、トライブダイビングスクールへ
FACEBOOKページも開設しました!ぜひ、「いいね」 してくださいね!
只今、お勉強中~♪
未選択
今、お店では入門コースの学科が
行われていますよ~~(o^^o)
質問にも次々と正解しているIさん!!
素晴らしいですね~♪♪

この調子でどんどん色んなことを
覚えて経験していきましょう(^▽^)
そして、夕方からもHさんと入門コースの学科です☆
これからどんどん海の中も魚が増えて
賑やかで面白い季節になってきます!
思いっきり楽しむためにも
たくさん勉強&練習しましょうね~~♪
staff hirorin
関西でダイビングを始めるなら、トライブダイビングスクールへ
FACEBOOKページも開設しました!ぜひ、「いいね」 してくださいね!
行われていますよ~~(o^^o)
質問にも次々と正解しているIさん!!
素晴らしいですね~♪♪
この調子でどんどん色んなことを
覚えて経験していきましょう(^▽^)
そして、夕方からもHさんと入門コースの学科です☆
これからどんどん海の中も魚が増えて
賑やかで面白い季節になってきます!
思いっきり楽しむためにも
たくさん勉強&練習しましょうね~~♪
staff hirorin
関西でダイビングを始めるなら、トライブダイビングスクールへ
FACEBOOKページも開設しました!ぜひ、「いいね」 してくださいね!
白崎ツアー☆
未選択
昨日に引き続き。。。
今日行って来ました!!今日は白崎です(^▽^)♪
ファンダイビング&入門コース&アップデートコースで
シャクシの浜にエントリーしました~~☆
入門コースのSさんとアップデートコースのTさんは
まずはしっかりスキルの練習をしてから。。。
たくさん泳いできましたよ~~♪♪
そして、ファンダイビングチームもたくさんの
泳いできましたよ☆
出会った生き物。
クマノミとヨスジフエダイとハコフグの赤ちゃん
コウイカ、マダコ、アオウミウシ、シロウミウシ
サラサウミウシ、タカベの群れ、マツバスズメダイ
カゴカキダイ、アオヤガラ、ウツボ、チョウチョウウオ赤ちゃん
トゲチョウチョウウオの赤ちゃんなどなど。。。

真ん中にいるちっちゃなクマノミ赤ちゃん。

仲良しコウイカの2匹。

岩場の影に隠れるチョウチョウウオ赤ちゃん。

ヨスジフエダイの子供。
とってもかわいい赤ちゃんや生き物がいっぱいでした☆
これからどんどん増えてきますので
ますます面白くなってきますよ~~♪
じっくり観察するもよし。
写真を撮るのにも最適なビーチです(^^)
みんなで一緒に遊びに行きましょう~~~(^▽^)
staff hirorin
関西でダイビングを始めるなら、トライブダイビングスクールへ
FACEBOOKページも開設しました!ぜひ、「いいね」 してくださいね!
今日行って来ました!!今日は白崎です(^▽^)♪
ファンダイビング&入門コース&アップデートコースで
シャクシの浜にエントリーしました~~☆
入門コースのSさんとアップデートコースのTさんは
まずはしっかりスキルの練習をしてから。。。
たくさん泳いできましたよ~~♪♪
そして、ファンダイビングチームもたくさんの
泳いできましたよ☆
出会った生き物。
クマノミとヨスジフエダイとハコフグの赤ちゃん
コウイカ、マダコ、アオウミウシ、シロウミウシ
サラサウミウシ、タカベの群れ、マツバスズメダイ
カゴカキダイ、アオヤガラ、ウツボ、チョウチョウウオ赤ちゃん
トゲチョウチョウウオの赤ちゃんなどなど。。。
真ん中にいるちっちゃなクマノミ赤ちゃん。
仲良しコウイカの2匹。
岩場の影に隠れるチョウチョウウオ赤ちゃん。
ヨスジフエダイの子供。
とってもかわいい赤ちゃんや生き物がいっぱいでした☆
これからどんどん増えてきますので
ますます面白くなってきますよ~~♪
じっくり観察するもよし。
写真を撮るのにも最適なビーチです(^^)
みんなで一緒に遊びに行きましょう~~~(^▽^)
staff hirorin
関西でダイビングを始めるなら、トライブダイビングスクールへ
FACEBOOKページも開設しました!ぜひ、「いいね」 してくださいね!
田辺ツアー☆
未選択
今日は田辺に行ってきましたよ~~♪
ボートチームとビーチチームに分かれて
エントリー♪♪
ビーチチームは『天神崎ビーチ』で
遊んできました~~♪♪
小さかったり、透明だったりするエビや
砂に隠れているクサフグ、すっごい勢いで
逃げていくハリセンボン、そしてかわいい
チョウチョウウオの赤ちゃんなどなど。
かわいいコがいっぱいでしたよ~(o^^o)

『空き缶から飛び出たニジギンポ♪』
そしてボートチームは『ショウガセ』&『南部だし』に
行ってきました!!!
根の上にはたくさんのクマノミ&キンギョハナダイ
ニラミギンポやマツバギンポ、タテガミスジカエルウオ
それから中層にはタカベの群れもいました(o^^o)
本日とっても気になったコ。。。

『隠れる気は全くないニラミギンポ。』
近寄っても隠れる気配はなく・・・
堂々としたコでした(^^;
staff hirorin
関西でダイビングを始めるなら、トライブダイビングスクールへ
FACEBOOKページも開設しました!ぜひ、「いいね」 してくださいね!
ボートチームとビーチチームに分かれて
エントリー♪♪
ビーチチームは『天神崎ビーチ』で
遊んできました~~♪♪
小さかったり、透明だったりするエビや
砂に隠れているクサフグ、すっごい勢いで
逃げていくハリセンボン、そしてかわいい
チョウチョウウオの赤ちゃんなどなど。
かわいいコがいっぱいでしたよ~(o^^o)
『空き缶から飛び出たニジギンポ♪』
そしてボートチームは『ショウガセ』&『南部だし』に
行ってきました!!!
根の上にはたくさんのクマノミ&キンギョハナダイ
ニラミギンポやマツバギンポ、タテガミスジカエルウオ
それから中層にはタカベの群れもいました(o^^o)
本日とっても気になったコ。。。
『隠れる気は全くないニラミギンポ。』
近寄っても隠れる気配はなく・・・
堂々としたコでした(^^;
staff hirorin
関西でダイビングを始めるなら、トライブダイビングスクールへ
FACEBOOKページも開設しました!ぜひ、「いいね」 してくださいね!